Take a look at previous local spotlights, including snippets of history and interesting articles by various authors. Why not write one and send it in?
Find out about upcoming local events such as fetes, meetings or church services in St Vincent's (send us a message if we've missed anything!).
Archaeology in the area
Written by Peter Marsden
The local area, once populated with Roman settlements, now has buried underneath it a great deal of pottery and other artefacts. A number of finds in Ashington and Draycott are recorded online including evidence of Roman settlements and even artefacts that are over 3,000 years old.
Two notable archaeological studies have taken place in Ashington and Draycott over the last few decades. First, in the winter of 1989/90, Wessex Archaeology conducted a ‘continuous watching brief’ during the construction of the Codford-Ilchester Water Pipeline with a site located to the North of Ashington. The second was carried out much more recently by the now-defunct Bristol & Region Archaeological Services during ground preparation for the new Manor Farm, in order to comply with a condition of the planning consent. Both resulted in findings of medieval pottery, and, in the case of the Pipeline, British-Romano pottery as well.
Before either of these in terms of importance, however, is an ancient spearhead discovered by Sandy Boyd thirty years ago, beside Ashington Wood. Identified by the Yeovil Archaeological and Local History Society (YALHS) as dating to c.1000 BC, the spear is a well-preserved bronze artefact now lacking its tip. It is now allegedly kept in a house in Limington and shares design characteristics with other spearheads locally (including a drawing of one from Weston-super-Mare) that date to the middle-to-late Bronze Age. The YALHS report provides more detail:
https://www.yalhs.org.uk/2005-pg7_bronze-age-spearhead-ashington-wood/
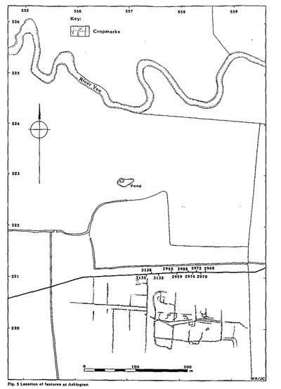
The earlier ‘watching brief’ North of Ashington revealed various pottery and archaeological features. Sherds of a Dressel 20 amphora were found, which is a container with a pointed bottom, globular body and oval-shaped handles. Around the same area, in the middle of the field nearest the Yeo (to the South) directly North of St Vincent’s Church, ‘occupation material’ – that is to say charcoal or burnt stones – was found between the topsoil and natural gravel. This was in addition to rubble such as limestone blocks, roofing tiles, and further British-Romano pottery, as well as a single sherd of ‘later prehistoric’ date. However, no structural remains were discovered.
To the East of this area, more rubble was found, and, further, a small area of burned soil. Following extensive cleaning, archaeologists found that it was a reddish baked clay trough. Whilst likely to be part of a flue or oven, no other evidence exists to suggest its purpose, for industry or otherwise. In addition, a ‘spread of mortar’ was found to directly overlay a spread of charcoal, and more prehistoric and British-Romano pottery was also found. All of these findings clearly support the presence of a former Roman settlement North of Ashington.
The report also notes that, given the most frequent shell-tempered prehistoric sherds were found in Ashington and Chilton Cantelo, sited on the Yeo’s floodplain, it is likely that the pottery of this date was not produced from ‘immediately local’ resources. Amphora sherds were also exclusive to Ashington, not found at any other excavation site along the pipeline. A spindle whorl of the Romano-British period was also found.

Excavation sites along the Codford-Ilchester Water Pipeline (Source: Wessex Archaeology)
Cropmark analysis was also conducted, using aerial photography. The report notes the following:
Ashington is particularly interesting in that the cropmarks show two distinct forms; the western part is a planned rectilinear field system whereas the eastern part is less regular and includes small enclosures, some of which may be buildings. Elements of the regular western part of the site certainly continue into the eastern part, and both parts are laid out on the same alignment. Pottery recovered from the observations and excavations along the pipeline route at Ashington was predominantly 3rd-4th centuries AD in date, although small quantities of earlier Roman material were also found. The close proximity of the market at Ilchester is indicated by the presence of imported finewares and also fragments of a Dressel 20 amphora, a type commonly found at Ilchester. The excavations produced tentative evidence of stone-founded buildings and a possibility of small-scale industrial activity.

Map of cropmarks to the North of Ashington (Source: Wessex Archaeology)
The second ‘watching brief’ for Manor Farm was significantly less exciting in its findings. As the report notes, there was no evidence of prehistoric, Romano-British or medieval archaeological deposits or features. However, small quantities of prehistoric flintwork, medieval and post-medieval pottery, and ceramic building material (CBM) were recovered from topsoil to the East of Young Covert, on the main site of the dairy farm.
Of the earliest finds, four Bronze Age or Neolithic flint pieces were discovered including a complete ‘secondary flake’. Ten pieces of coarse medieval pottery were also found, made of a hard fabric with large inclusions of brown quartz, calcite and ‘grog pellets’, which are ‘buff to orange’ in colour. Three handmade, rectangular nails were also uncovered, likely post-medieval in date, along with CBM including pieces of brick and tile (post-medieval), glazed roof tile (14th-16thCentury). A gun flint from the 17th or 18th Century was also found. All of this evidence suggests, as expected, that the site was not settled on, and is ‘consistent with manuring of the fields at different periods’.

Excavated platform on the West side of the Manor Farm excavation site (Source: B&RAS)
More detail on archaeological features in Ashington and Draycott, including further analysis on cropmark enclosures, ancient burial grounds, and evidence of a Roman shrine, can all be found on our history page. The full archaeological reports can be found here (Ashington) and here (Manor Farm).
January 2024 Local Spotlight.

Stripped ploughsoils East of Young Covert (Source: B&RAS)
Copyright © 2025 The Ashington and Draycott Community Page. All Rights Reserved.
With thanks to Brett Williams for funding this website and to all guest authors.
The Ashington and Draycott Community Page.